征收土地预公告 陂土告字〔2024〕045-1号

2025-07-25 15:53
来源: 武汉市黄陂区人民政府

滠口街长松村村民委员会、村民:

为规范征地程序,加强征地管理,切实维护被征地者的合法权益,根据中华人民共和国土地管理法土地管理法实施条例等法律法规和有关规定。我区拟启动信创文体公园项目建设用地征地事宜,现将有关事项公告如下:

一、拟征地目的及用途:该项目属于区人民政府组织实施的社会福利类公共事业建设用地,本次拟征地目的为公共利益需要。拟征地土地用途为公园绿地

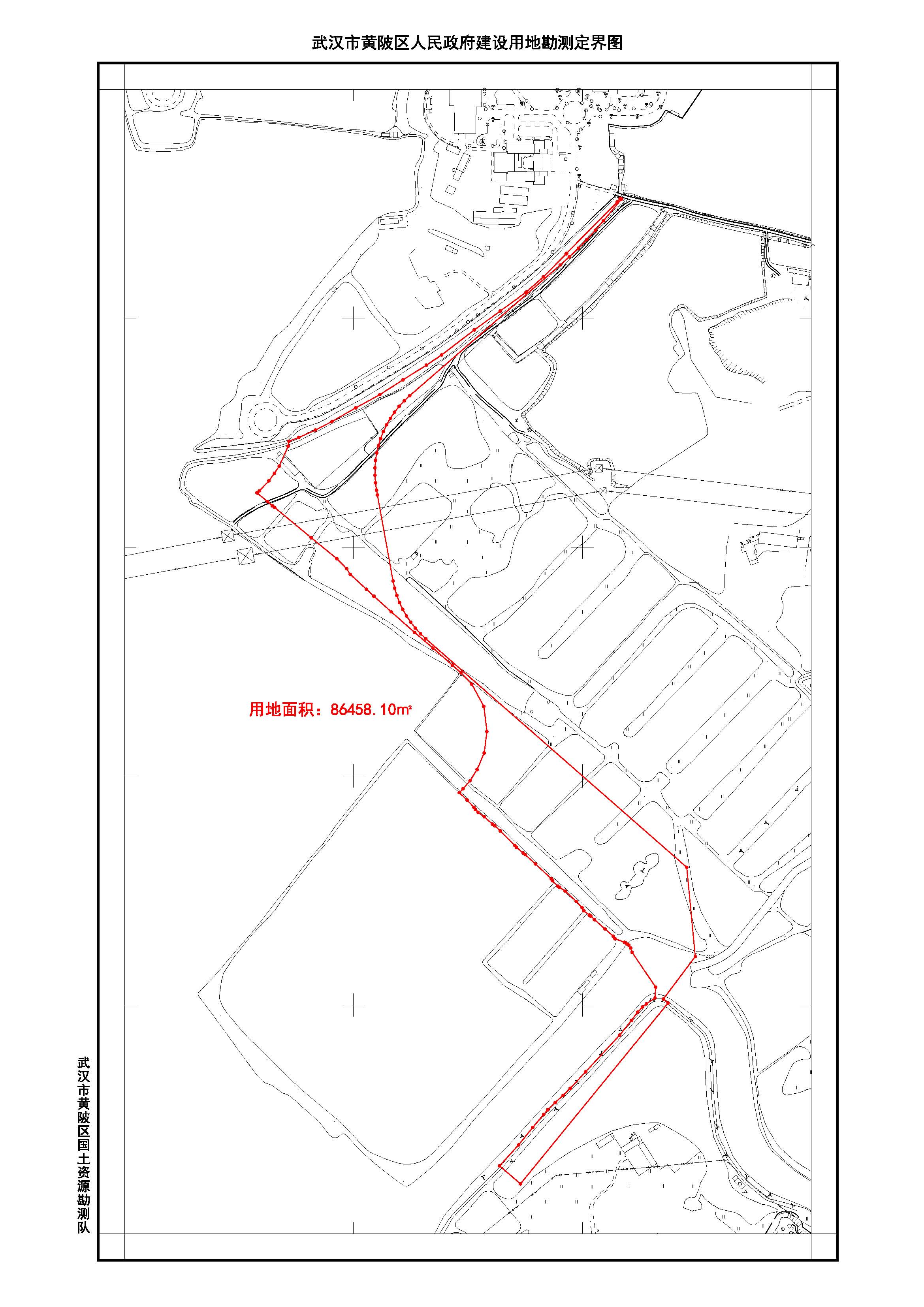
二、拟征地位置:滠口街长松村(详见附图)。

三、拟征地勘测定界面积:总面积0.1830公顷。

四、征收土地预公告发布后,各村、组和农户不得在拟征收的土地上抢栽、抢种青苗,不得抢建房屋及其他地上附着物。否则,征地时一律不予补偿。

五、公告下发后,滠口街道办事处将组织对项目拟征土地现状进行调查,调查内容包括土地的权属、地类、面积,以及农村村民住宅、其他地上附着物和青苗等的权属、种类、数量等信息。请被征地的农村集体经济组织、农户予以配合,并在相关调查表上签字或盖章予以确认。

六、本公告下发后,滠口街道办事处将组织对项目拟征地涉及的被征地农户开展社保调查,包括涉及农户的户籍人数、被征收耕地面积、征地后家庭人均耕地面积等信息,并对符合享受被征地农民养老保险补偿的名单进行初步审核。

七、项目拟征土地现状调查及被征地农户社保调查完成后,区人民政府将组织相关部门编制征地补偿安置方案,并予以公布。


武汉市黄陂区人民政府

2025年7月25日

2024定117号(信创文体公园) 公告 Model (1).jpg