武汉市黄陂区人民政府征收土地公告 陂征〔2025〕字第28号

2025-07-01 11:11
来源: 武汉市黄陂区人民政府

根据省人民政府关于湖北输油分公司桃园集阀室自动化改造项目建设用地的批复鄂政土批2025750)文件,湖北省人民政府已于2025620日批准同意武汉市黄陂区人民政府对下列集体土地办理征收和农用地转用手续。现将有关事项公告如下:

一、申请用地单位:黄陂区人民政府

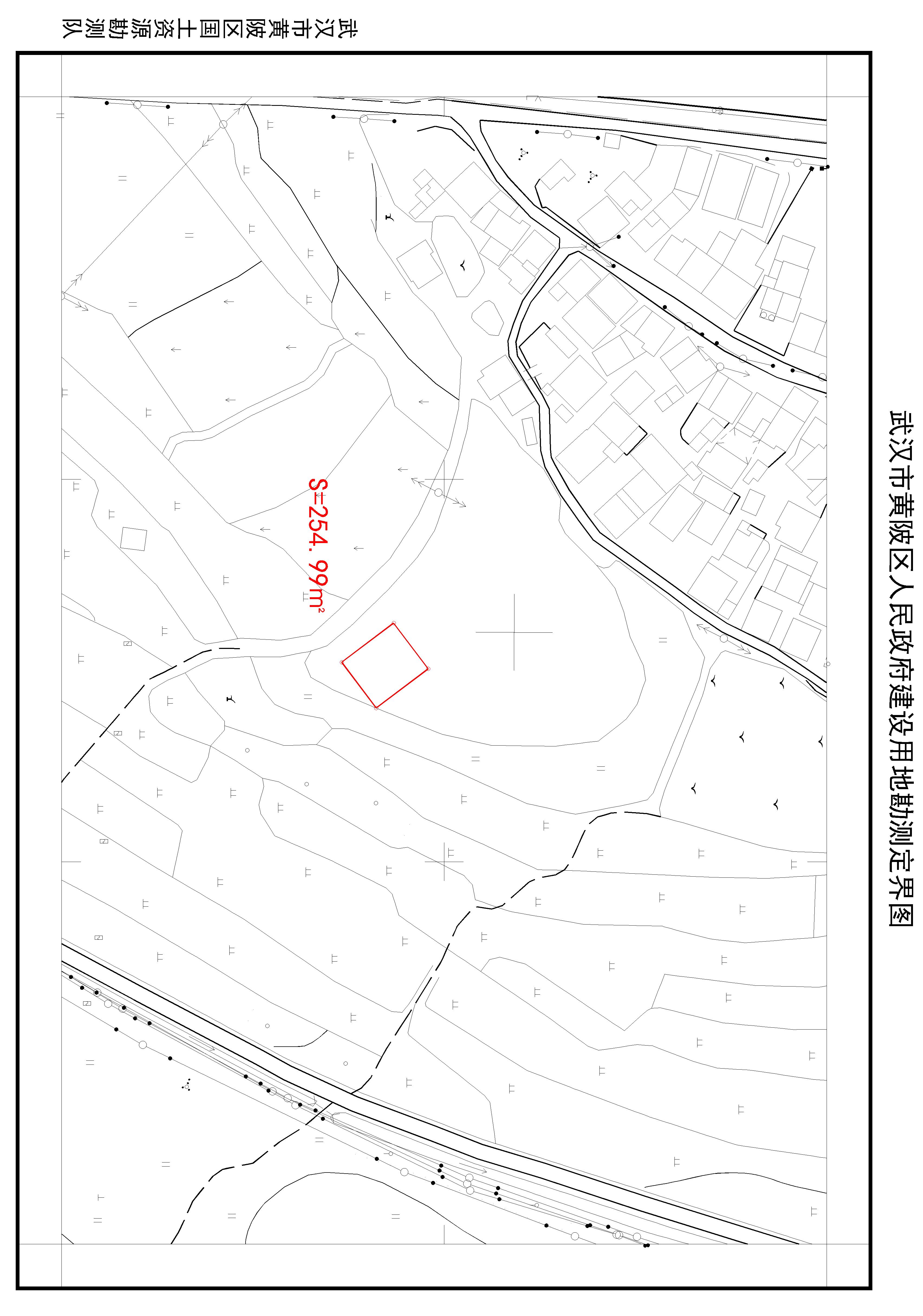
、征收土地位置滠口街桃元集村征地总面积0.0255公顷(位置及四至范围详见附图)。现状土地类型为:农用地0.0255公顷(其中耕地/公顷),建设用地/公顷,未利用地/公顷。集体土地所有权人为:滠口街桃元集村

、征地补偿标准及具体补偿安置费用按照《补偿安置公告》及《征地补偿安置协议》执行。

、自本公告发布之日起,工商、税务、公安等部门应停止办理征收土地范围内的有关工商、税务登记及户口迁移等手续

、若对《省人民政府关于湖北输油分公司桃园集阀室自动化改造项目建设用地的批复鄂政土批2025750)文件不服的,可自本公告发布之日起60日内向湖北省人民政府申请行政复议。

特此公告

附件:武汉市黄陂区人民政府征收土地公告(陂征2025字第28号)

附图


武汉市黄陂区人民政府

202571

2024定128号 公告.jpg