农用地转用预公告 陂土告字[2025]086号

2025-12-09 11:18
来源: 区自然资源和城乡建设局

横店街红寨社区居民委员会、民:

为规范用地程序,加强用地管理,切实维护被用地者的合法权益,根据《中华人民共和国土地管理法》、土地管理实施办法》等法律、法规和有关规定,现将黄陂区横店街红寨社区村集体建设用地(HP2025080)有关事项告知如下:

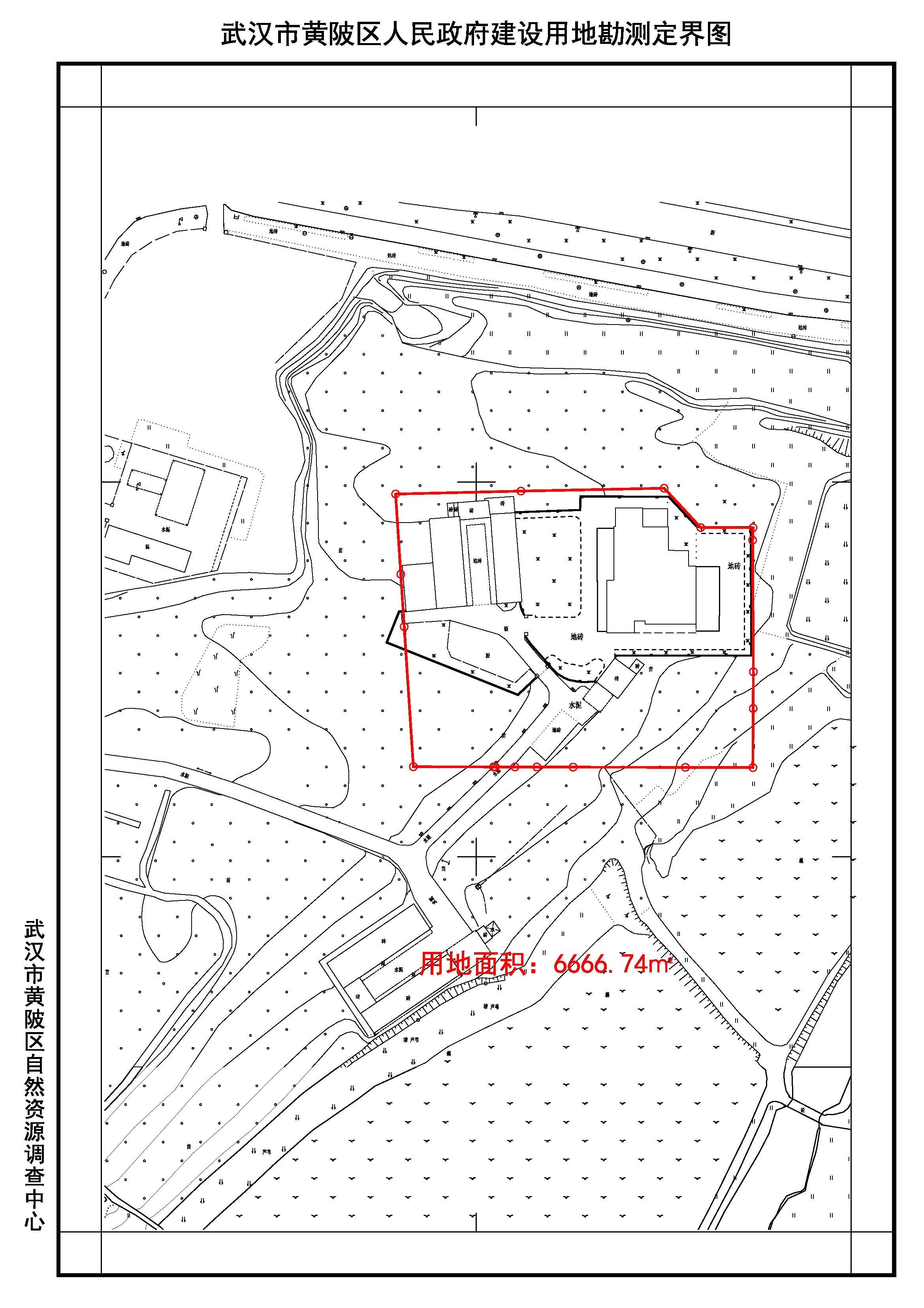
一、拟转用范围:横店街红寨社区(详见附图)。

二、拟用地目的及用途:为积极支持振兴乡村经济发展,打造苗木生态园及相关产业横店道办事处拟申请建设横店街红寨社区苗木生态园农文旅配套项目,本次用地申报采取“只转不征”方式,拟用地地块经上级部门批准农用地转为建设用地后,土地所有权仍属村集体所有。本次拟用地土地用途为:村集体建设用地

三、拟转用土地现状:总面积0.6667公顷,其中农用地0.6667公顷(耕地0.2007公顷)

四、本公告自发布之日起,任何单位和个人不得在拟转用范围内抢栽抢建;违反规定抢栽抢建的,不予补偿。

五、本公告下发后,横店道办事处将组织对拟转用土地现状进行调查,土地现状调查的内容包括土地的权属、地类、面积,以及个人建设住宅、其他地上附着物和青苗等的权属、种类、数量等信息。请相关土地权利人予以配合,并在《拟农用地转用土地调查结果确认表》上签字或盖章予以确认。


武汉市黄陂区自然资源和城乡建设局

2025129

2025定080号(横店红寨村) 公告 Model (1).jpg