征地补偿安置公告 (陂土征补公告〔2025〕68-1号)

2025-12-22 16:05
来源: 武汉市黄陂区人民政府

根据《中华人民共和国土地管理法》《中华人民共和国土地管理法实施条例》等法律法规和有关政策规定,结合土地征收预公告(陂土告字2025019-1),黄陂区人民政府对拟征收土地的土地现状调查情况,被征地农民参加养老保险调查情况和社会稳定性风险评估情况,黄陂区人民政府组织了征地补偿安置方案,拟对盘龙城经济开发区龙王庙村农民集体土地进行征收。现将黄陂区人民政府拟储备地块(HP2025016)项目建设用地征地补偿安置方案内容和有关事项公告如下:

一、征收目的及范围

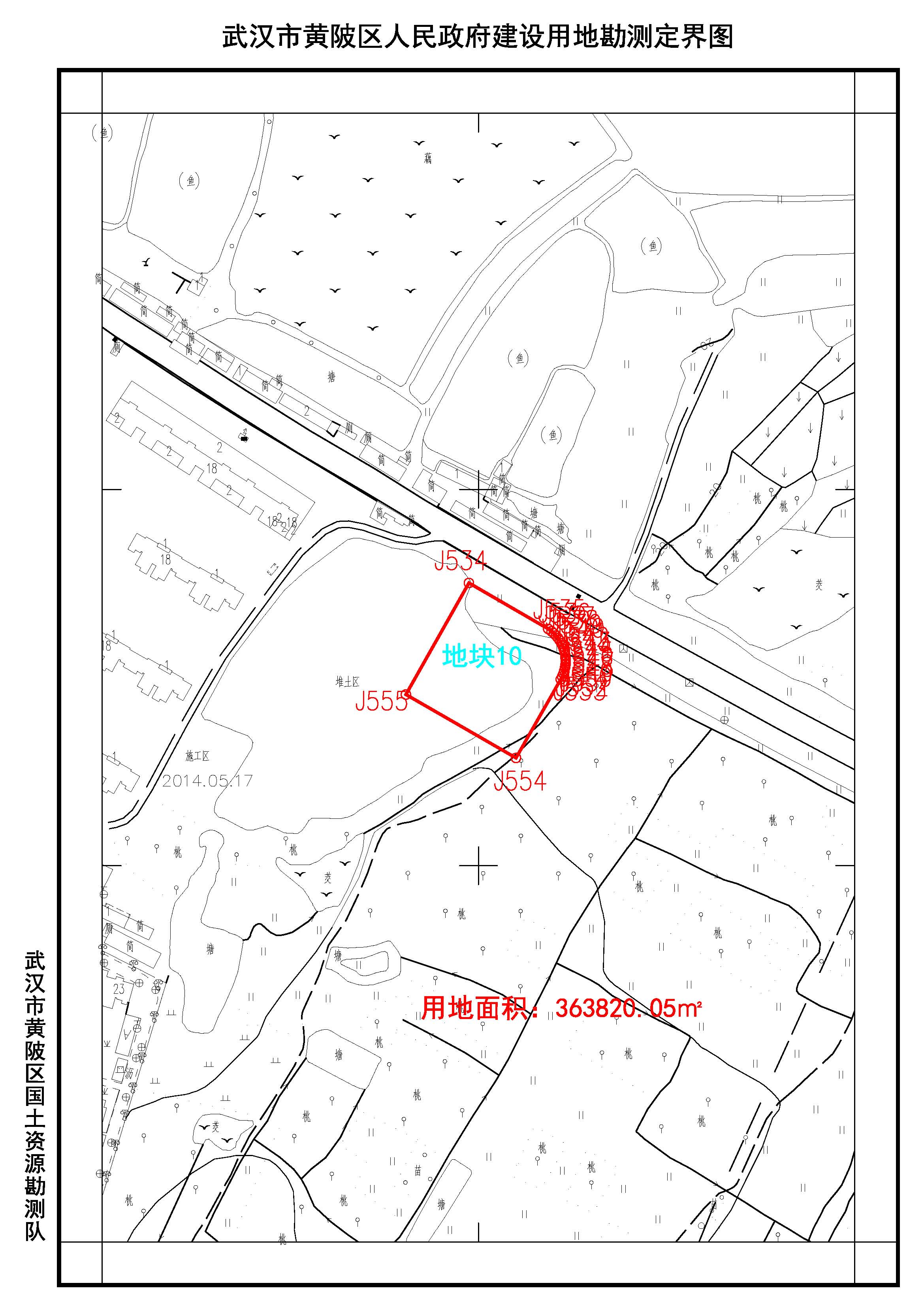
因实施黄陂区人民政府拟储备地块(HP2025016)项目建设等公共利益需要,黄陂区人民政府拟征收盘龙城经济开发区龙王庙村共计17.8950公顷,用地范围图详见附件1。土地用途为教育用地

二、土地现状调查结果

本次已对土地现状开展详尽调查,共涉及我区盘龙城经济开发区龙王庙村农民集体土地总面积17.8950公顷,其中农用地面积17.4817公顷(耕地9.3605公顷),建设用地/公顷,未利用地0.4133公顷。现状调查结果详见附件2

三、征收土地补偿标准

1. 征收土地补偿费和安置补助费。土地补偿费、安置补助费按照湖北省人民政府2023年批准公布的现行最新区片综合地价《省人民政府关于重新公布全省征地区片综合地价标准的通知》(鄂政发〔202316号)和《市人民政府关于公布武汉市征收集体建设用地和未利用地补偿标准的通知》(武政规〔20247号)规定执行,青苗补偿标准根据《市人民政府关于实施武汉市被征收土地上的附着物和青苗补偿标准的通知》(武政规〔20258号)规定执行。拟征收土地涉及黄陂区I1个征地区片综合地价片区,标准为97.5万元/公顷,具体补偿费用如下:土地补偿费697.9050万元、安置补助费1046.8575万元,合计1744.7625万元。

2. 青苗和地上附着物补偿。按照《市人民政府关于实施武汉市被征收土地上的附着物和青苗补偿标准的通知》(武政规〔20258号)规定标准补偿。涉及村民住宅的,按照先补偿后搬迁、居住条件有改善的原则,根据村民意愿,分别采取重新安排宅基地、提供安置房或货币补偿等方式补偿,并对因征收造成的搬迁、临时安置等费用予以补偿。

四、安置方式及保障内容

对被征地农民拟采取货币安置和社会保障安置等安置途径。根据《省人民政府关于被征地农民参加基本养老保险的指导意见》(鄂政发〔201453号)和省人社厅等5部门《关于印发〈湖北省被征地农民养老保险补偿实施细则〉的通知》(鄂人社发〔20152号)规定,将符合条件的被征地居民纳入被征地农民养老保险补偿安置,相关程序按上述文件执行。征地补偿安置方案详见附件3

五、其他事项

1. 补偿登记方式及期限。请被征收土地的所有权人、使用权人在本公告发布之日起30日内持不动产权属证书或其他有效相关证明材料,到盘龙城经济开发区龙王庙村办理征地补偿登记手续,请相互转告。逾期未办理征地补偿登记手续的,以盘龙城经济开发区管委会的土地现状调查公示结果为准。本次补偿登记主要登记土地所有权、土地使用权、农民村民住宅(含权属、面积等)、其他地上附着物和青苗等的权属、种类、数量等情况。

2. 申请听证。被征地的农村集体经济组织半数以上(不含半数)成员认为征地补偿安置方案内容不符合法律、法规规定的,请于本公告的公告期内,以村为单位向黄陂区自然资源和城乡建设局提出书面意见。逾期未提出申请的,视为放弃听证。申请听证的,黄陂区人民政府将依法组织召开听证会。

3. 异议反馈渠道。被征收土地范围内的土地所有权人、使用权人对土地征收事项存在异议,请在本公告期间向黄陂区人民政府或黄陂区自然资源和城乡建设局反映。(联系人:邱工,联系电话61009695

4. 本公告期限为30天,公告范围为盘龙城经济开发区龙王庙村,并已在黄陂区人民政府门户网站公布,公布网址为https://www.huangpi.gov.cn/ywdt/gsgg

联系电话:61009695

特此公告。


附件:1.拟征收土地范围图

2.现状调查结果

3.征地补偿安置方案


武汉市黄陂区人民政府

20251222

2025定016号(华师报地) 公告 Model (1).jpg
2025定016号(华师报地) 补(公告) Model (1).jpg
地调表1-龙王庙村.pdf
补偿安置方案[2025]68-1号.doc